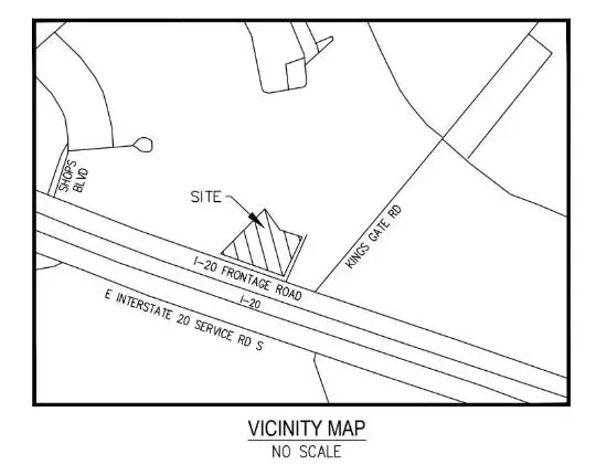
Prime Commercial Land Opportunity at I-20 Service Road, Willow Park, TX. Positioned along the I-20 Service Road in the rapidly expanding Willow Park corridor, this commercial tract offers exceptional visibility and direct access for a variety of potential uses, including restaurant, entertainment, retail, or mixed-use development. The site is located west of Kings Gate Road and just east of The Shops at Willow Park and Shops Boulevard—placing it in the heart of Willow Park’s most active commercial hub.
Property Details
Price:
$1,224,903
MLS #:
21117183
Status:
Active
Baths:
0
Type:
Land
Subtype:
Unimproved Land
Subdivision:
Isaac O Headley
Listed Date:
Nov 20, 2025
Lot Size:
66,211 sqft / 1.52 acres (approx)
Year Built:
2025
See this Listing
Schools
Interior
Exterior
Construction Materials
See Remarks
Lot Size Area
1.5200
Number Of Units Total
1
Financial
Map
Community
- Address4701 E Interstate 20 Serv Willow Park TX
- SubdivisionIsaac O Headley
- CityWillow Park
- CountyParker
- Zip Code76067
Subdivisions in Willow Park
- Bankhead Commons
- Broadway Bus Park II
- Buena Vista
- Country Hollow
- Country Hollow Sales Phase 1
- Crown Pointe
- Crown Pointe Add
- Crown Pointe Add Ph IV
- CROWN POINTE ADDITION F-158
- Crowne Pointe
- El Chico
- El Chico Rev
- El Chico South
- Isaac O Headley
- Laguna Vista Estates
- Meadow Place Estates
- Meadow Place Estates Ph
- Meadow Place Ph 2
- North Chase
- Parker Ridge
- Ranch House
- Squaw Creek West
- Stage Coach Estates Ph
- The Porter Addition
- The Reserves At Trinity
- Trinity Meadow Addition
- Trinity Meadows
- West Oak Home Sites
- Willow Crest Estates
- Willow Park
- Willow Park Bus Plaza
- Willow Park Church Of
- Willow Park Village
- Willow Spgs
- Willow Spgs Oaks
- Willow Wood Add
Market Summary
Current real estate data for Land in Willow Park as of Mar 14, 2026
23
Land Listed
522
Avg DOM
$2,998,022
Avg List Price
Property Summary
- Located in the Isaac O Headley subdivision, 4701 E Interstate 20 Serv Willow Park TX is a Land for sale in Willow Park, TX, 76067. It is listed for $1,224,903 and features 2 acres. To schedule a showing of MLS#21117183 at 4701 E Interstate 20 Serv in Willow Park, TX, contact your Spencer TX Real Estate, LLC agent at (817) 937-8532.
Similar Listings Nearby

4701 E Interstate 20 Serv
Willow Park, TX




