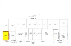
Welcome to Churchill Estates, a brand-new subdivision offering the perfect blend of peaceful country living and convenient access to nearby amenities. Located just 15 minutes from Granbury, this 2+ acre estate lot provides ample space to build your dream home, all while enjoying the serene sounds of the countryside without sacrificing proximity to shopping, dining, and entertainment. Nestled close to Lake Granbury and the charming Granbury Square, Churchill Estates offers the ideal retreat from city traffic with quick access to everything you need. This open, level lot boasts direct road frontage on Colony Road, with planned asphalt roads throughout the subdivision for easy access. Each homesite will require a private water well and septic system. Deed restrictions help protect your investment—available in the documents section or upon request from the listing agent. Photos depict the subdivision and are not lot-specific. Don’t miss your chance to be among the first to call Churchill Estates home!
Property Details
Price:
$150,000
MLS #:
20958172
Status:
Active
Baths:
0
Type:
Land
Subtype:
Unimproved Land
Subdivision:
Churchill Estates
Listed Date:
Jun 4, 2025
Lot Size:
87,120 sqft / 2.00 acres (approx)
See this Listing
Schools
School District:
Tolar ISD
Elementary School:
Tolar
Middle School:
Tolar
High School:
Tolar
Interior
Exterior
Fencing
None
Frontage Feet
239
Lot Size Area
2.0000
Number Of Lots
89
Financial
Map
Community
- AddressLot 7 Colony Road Tolar TX
- SubdivisionChurchill Estates
- CityTolar
- CountyHood
- Zip Code76476
Subdivisions in Tolar
- Bailey
- Bella Oaks
- Bella Oaks Add
- Bella Oaks Add Ph 2
- Boatright
- BOATWRIGHT
- Churchill Estates
- Deer Valley
- Diamondback Meadows
- Dixon Addition
- E C LOFTIN – ABST 771
- HOOD
- Hutsell Add
- J HOWARD – ABST 228
- J L MC COCKLIN – ABST 401
- Kendall Acres
- Parkview Place
- Parkview Place Add II
- Prairie
- R41107
- Rattler Ranch Ph One
- Rattler Ranch Ph Two
- Rattler Ranch Phase 5A
- Rattler Ranch Phase Two
- Rock Ridge Add
- Rolled Stone Estates
- Rolled Stone Estates Ph 1
- Sanctuary Oaks
- Sanctuary Oaks West
- Shiloh Vista Ranch
- South Oak Estate
- South Wind Estates
- Stonewater Church West Add
- The Parks Of Tolar
- Tolar
- Tolar Gardens
- Tolar Oaks
- W HICKMAN – ABST 216
- Wind Hollow Ranch
- WM BEEKS – Abst 36
- xxxx
Market Summary
Property Summary
- Located in the Churchill Estates subdivision, Lot 7 Colony Road Tolar TX is a Land for sale in Tolar, TX, 76476. It is listed for $150,000 and features 2 acres. To schedule a showing of MLS#20958172 at Lot 7 Colony Road in Tolar, TX, contact your Spencer TX Real Estate, LLC agent at (817) 937-8532.
Similar Listings Nearby

Lot 7 Colony Road
Tolar, TX













